Hurrikan ISABEL von
Thomas Sävert
Zugbahnkarte
Zugbahn (NOAA / Uni Wisconsin)

Zugbahnkarte
Zugbahnkarte von Unisys

Zugbahn
Zugbahn / Vorhersage (Underground)
Die 9. Tropische Sturm des Jahres auf dem Atlantik entstand am 06. September südwestlich der Kapverdischen Inseln vor Afrika. In den Tagen zuvor war eine Wellenstörung von der afrikanischen Küste langsam nach Westen gezogen und hatte sich allmählich formiert. Dabei wurde sie allerdings vom National Hurricane Center zunächst nicht als Tropische Depression eingestuft.

"Isabel" erreichte am Sonntag, den 07. September Hurrikanstärke und zog in den folgenden Tagen unter Verstärkung vorerst weiter nach Westen bis Nordwesten über den gesamten Atlantik, bevor er genau auf Westen eindrehte. Dabei erreichte der Hurrikan am 09. September mit Windgeschwindigkeiten bis weit über 200 km/h die zweithöchste Stufe auf der fünfteiligen Hurrikanskala. Als sich der Mittelwind am 11. September bis 260 km/h steigerte, wurde "Isabel" zum ersten Atlantik-Hurrikan der höchsten Stufe 5 seit "Mitch" Ende Oktober 1998. Damals kamen in Zentralamerika mehr als 11.000 Menschen ums Leben.

Der Hurrikan "Isabel" zog knapp nördlich der Kleinen Antillen nach Westen und drehte nur langsam nach Nordwesten ein. Am 15. September schwächte sich der Hurrikan auf dem Weg nach Nordwesten recht plötzlich ab, der Wirbel wurde unsymmetrisch durch den Einfluss trockenerer Luft und südwestlichem Höhenwind an der Westseite des Hurrikans. In den folgenden Tagen zog "Isabel" weiter nach Nordwesten bis Norden, konnte sich dabei aber nicht mehr so recht neu formieren. Zum Donnerstag abend (MESZ, 18. September) traf er in North Carolina auf Land, die ersten Ausläufer hatten bereits am Morgen die Küste erreicht. Dabei kamen trotz frühzeitiger Warnungen dutzende Menschen ums Leben und es enstanden erhebliche Schäden durch die Sturmflut, heftige Böen sowie extreme Regenfälle. Zeitweise waren bis zu 6 Millionen Menschen ohne Strom.


(Für alle Grafiken gilt: Zum Vergrößern bitte anklicken!)
Zugbahn
Zugbahn / Vorhersage (NHC)
Zugbahn
Zugbahnwahrscheinlichkeiten (NHC)
EINIGE LINKS:
Aktuelle Nachrichten:
Nachrichten von Yahoo (deutsch)
Hurricane Isabel by Richard H. Huber
Hurricane Isabel *aftermath*
Luftbilder der NOAA

Weitere Links:
National Hurricane Center in Miami (NHC)
Archiv der Warnungen (NHC)
Archiv der Graphiken vom NHC
NOAA Research of Hurricane Isabel Reveals Intensity clues

Alle Daten von Unisys
Zugbahnkarte von Unisys
Alle Daten von Underground
Zugbahnkarte von Weather Underground
Modellvergleich (COLA/IGES)

Naples Daily News
Seite der PalmBeachPost
Vorhersage von TropicalUpdate.com
Seite der NRL in Monterey
Satellitenbild
Sturmbild vom 09.09. (NOAA)

Satellitenbild
Sturmbild vom 11.09. (Uni Wisconsin)

Satellitenbild 11.09.03
Sturmbild 11.09.2003 der NOAA

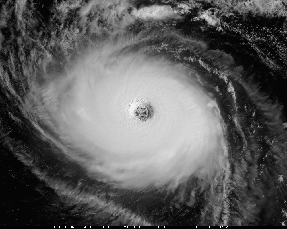
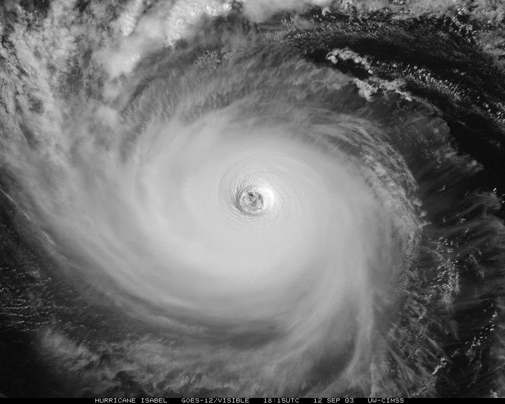
Satellitenbild
Sturmbild vom 12.09. (Uni Wisconsin)

Satellitenbild
Sturmbild vom 15.09. (OSEI)


SATELLITENBILDER:
Satellitenbilder der OSEI / NOAA:
Einige ausgewählte Satellitenbilder des amerikanischen Wetterdienstes NOAA. Auf diesen Seiten des OSEI (Operational Significant Event Imagery)-Teams werden Bilder verarbeitet, die im NOAA Science Center in Suitland, Maryland, vorliegen.
08.09.2003, 15:15 Uhr UTC (hier groß)
09.09.2003, 15:15 Uhr UTC (hier groß)
10.09.2003, 15:15 Uhr UTC (hier groß)
11.09.2003, 15:15 Uhr UTC (hier groß)
12.09.2003, 15:15 Uhr UTC (hier groß)
Satellitenfilm 12.09.03, 10:15-17:15 UTC (MPEG, ca. 1.1 MB)
Satellitenfilm 12.09.03, 10:15-17:15 UTC (avi, ca. 1.4 MB)
Loop 12.09.03, kleinere Version (avi, ca. 533 KB)
Loop 12.09.03, große Version (avi, ca. 7.2 MB)
15.09.2003, 11:24 Uhr UTC (hier groß)
15.09.2003, 13:45 Uhr UTC (hier groß)
Satellitenfilm 15.09.03, 10:15-18:15 UTC (MPEG, ca. 1.6 MB)
Satellitenfilm 15.09.03, 10:15-18:15 UTC (avi, ca. 1.3 MB)
Loop 15.09.03, kleinere Version (avi, ca. 285 KB)
16.09.2003, 13:45 Uhr UTC (hier groß)
16.09.2003, 15:12 Uhr UTC (hier groß)
Satellitenfilm 16.09.03, 11:15-18:15 UTC (MPEG, ca. 1 MB)
Satellitenfilm 16.09.03, 11:15-18:15 UTC (avi, ca. 1.4 MB)
Loop 16.09.03, kleinere Version (avi, ca. 285 KB)
17.09.2003, 18:45 Uhr UTC (hier groß)
17.09.2003, 12:17 Uhr UTC (hier groß)
Satellitenfilm 17.09.03, 11:15-18:45 UTC (MPEG, ca. 1.1 MB)
Satellitenfilm 17.09.03, 11:15-18:45 UTC (avi, ca. 1.6 MB)
Loop 17.09.03, kleinere Version (avi, ca. 569 KB)
18.09.2003, 15:45 Uhr UTC (hier groß)
18.09.2003, 11:53 Uhr UTC (hier groß)
Satellitenfilm 18.09.03, 11:15-15:45 UTC (MPEG, 752 KB)
Satellitenfilm 18.09.03, 11:15-15:45 UTC (avi, ca. 1 MB)
Loop 18.09.03, kleinere Version (avi, ca. 569 KB)

Satellitenbilder der Uni Wisconsin (450-550 KB):
11.09.03, 11:45 UTC (mit Gradgitternetz)
11.09.03, 11:45 UTC
12.09.03, 18:15 UTC
12.09.03, 13:15 UTC
Satellitenbilder des NASA Earth Observatory:
Hurricane Isabel (NASA, 26.09.03)


Andere Satellitenbilder:
Sturmbild von Underground
Sturmbild von Unisys
Sturmbild des Weather Channels
Atlantik IR vom Weather Channel

Hier geht es zur Hurrikan- und Taifunseite von Thomas Sävert:

Die Hurrikanseite


zur Homepage von Thomas Sävert